0120-57-6501
定休日:火曜日、水曜日
営業時間:9:00~18:00
ハウスドゥの売りたい
ハウスドゥの店舗情報
お客様がお気に入りに登録された物件を最大30物件まで、30日間保存できます。
価格
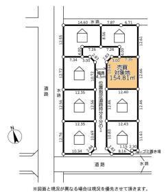
土地面積
坪単価
駅徒歩
1 件 / 全248件
チェックした物件をまとめて
建築条件無し売地なので、お好きなハウスメーカー、工務店、建築設計事務所等で建築することができます♪
2,580万円
NEW
所在地
交通
JR千代田・常磐緩行線 『馬橋駅』 まで徒歩24分
担当者より建築条件なし×更地!随時ご案内可能です♪ また、弊社にて建築も行っておりますので、注文住宅のご相談もOKです♪当物件はもちろんですが、他に気になる物件のご案内、資金計画等お気軽にお問い合わせください!!
担当エージェント:坂本 祐人
店頭ではHPに掲載できない物件を併せて 259件をご案内できます!
店頭で
ご希望にマッチした物件や、新着・値下げ情報を 即日メールにてお届けします!
Webで